Tìm thấy 764 bài viết

Siêu bão Ragasa trút mưa xối xả xuống Trung Quốc, đã ghi nhận thương vong

Siêu bão Ragasa, cơn bão nhiệt đới mạnh nhất thế giới năm nay, đã gây ảnh hưởng nặng nề cho Trung Quốc với gió lớn và mưa xối xả. Ở Đài Loan (Trung Quốc), ít nhất 14 người đã thiệt mạng.

Siêu bão Ragasa tàn phá Đài Loan (Trung Quốc): 14 người thiệt mạng, 124 người mất tích

Siêu bão Ragasa tàn phá Đài Loan (Trung Quốc): 14 người thiệt mạng, 124 người mất tích

Cơ quan cứu hỏa, cứu hộ cứu nạn Đài Loan (Trung Quốc) ngày 24/9 cho biết, đã có ít nhất 14 người thiệt mạng và 124 người mất tích tại huyện Hoa Liên.

Xót xa cụ bà 87 tuổi bị bùn lũ do siêu bão Ragasa vùi lấp ngay trong nhà, con gái đau đớn: "Thi thể mẹ tôi vẫn còn mắc kẹt bên trong"

Ngày 24/9, huyện Quang Phục (Hoa Liên, Đài Loan, Trung Quốc) ghi nhận thiệt hại nặng nề sau khi hồ chắn bùn ở thượng nguồn sông bất ngờ tràn bờ, gây lũ lớn đổ vào khu vực dân cư.

Ảnh hiếm siêu bão Ragasa từ vũ trụ: Cảnh tượng dữ dội như nuốt chửng Trái Đất, phi hành gia ISS nghẹt thở

Ảnh hiếm siêu bão Ragasa từ vũ trụ: Cảnh tượng dữ dội như nuốt chửng Trái Đất, phi hành gia ISS nghẹt thở

Những hình ảnh hiếm có do phi hành gia Nhật Bản Kimiya Yui ghi lại đã khiến dư luận thế giới rùng mình trước sức mạnh của siêu bão Ragasa.

Siêu bão Ragasa tàn phá Đài Loan (Trung Quốc): 30 người mất tích, 2 người tử vong và hàng trăm người mắc kẹt

Siêu bão Ragasa tàn phá Đài Loan (Trung Quốc): 30 người mất tích, 2 người tử vong và hàng trăm người mắc kẹt

Ngày 23/9, lực lượng cứu hỏa, cứu hộ cứu nạn Đài Loan (Trung Quốc) cho biết có ít nhất 30 người mất tích và 2 người tử vong tại huyện Hoa Liên.

'Lạnh người' với hình ảnh siêu bão Ragasa nhìn từ vệ tinh

Siêu bão Ragasa đang hướng về phía nam Trung Quốc sau khi đổ bộ Philippines với sức gió tàn phá và mưa xối xả. Cơn bão đặt các thành phố lớn của Trung Quốc vào tình trạng báo động cao với các chuyến bay bị hủy, hoạt động của các trường học và doanh nghiệp bị gián đoạn.

Siêu bão Ragasa: Sóng lớn "quất" Hồng Kông, hàng loạt thành phố Trung Quốc "nín thở"

Siêu bão Ragasa: Sóng lớn "quất" Hồng Kông, hàng loạt thành phố Trung Quốc "nín thở"

Hồng Kông (Trung Quốc) đã nâng cảnh báo bão lên mức cao nhất vào rạng sáng 24-9 khi miền Nam Trung Quốc chuẩn bị ứng phó siêu bão Ragasa.

Siêu bão Ragasa cuốn trôi cầu ở Đài Loan (Trung Quốc), hơn 260 người bị mắc kẹt

Siêu bão Ragasa cuốn trôi cầu ở Đài Loan (Trung Quốc), hơn 260 người bị mắc kẹt

Ngày 23/9, giới chức địa phương xác nhận một hồ chắn hình thành từ sạt lở núi tại huyện Hoa Liên, miền Đông Đài Loan (Trung Quốc) đã bị vỡ sau khi siêu bão Ragasa đổ bộ.

Ngày mai, siêu bão mạnh nhất thế giới sẽ đổ bộ vào Quảng Ninh - Hưng Yên thời điểm nào?

Ngày mai, siêu bão mạnh nhất thế giới sẽ đổ bộ vào Quảng Ninh - Hưng Yên thời điểm nào?

Dự báo khoảng trưa đến chiều ngày 25/9, vùng tâm bão Ragasa (bão số 9) đi vào đất liền nước ta.

Siêu bão Ragasa hướng về Quảng Ninh - Hải Phòng, rủi ro thiên tai cấp 3

Siêu bão Ragasa hướng về Quảng Ninh - Hải Phòng, rủi ro thiên tai cấp 3

Từ sáng nay (24/9), siêu bão Ragasa bắt đầu giảm cấp do ma sát với địa hình đất liền phía nam Trung Quốc, sau đó là tương tác với không khí lạnh khô. Dự báo khi đổ bộ Quảng Ninh - Hải Phòng trưa 25/9, bão còn cấp 9, giật cấp 11. Từ đêm nay, miền Bắc bắt đầu có mưa bão. Cơ quan khí tượng ban hành rủi ro thiên tai cấp 3 ở Đông Bắc Bộ.

Siêu thị Trung Quốc trước siêu bão Ragasa: Kệ hàng trống trơn nhưng 3 loại rau vẫn "ế chỏng chơ", netizen thắc mắc lý do

Siêu thị Trung Quốc trước siêu bão Ragasa: Kệ hàng trống trơn nhưng 3 loại rau vẫn "ế chỏng chơ", netizen thắc mắc lý do

Người dân đổ xô tích trữ lương thực trước khi siêu bão Ragasa đổ bộ, nhưng giữa cảnh siêu thị vơi sạch hàng hóa, có 3 loại rau lại bị bỏ mặc, khiến mạng xã hội bàn tán rôm rả.

Dự báo thời tiết 24/9: Siêu bão Ragasa giảm cấp nhanh, miền Bắc mưa như trút

Dự báo thời tiết 24/9: Siêu bão Ragasa giảm cấp nhanh, miền Bắc mưa như trút

Dự báo thời tiết ngày 24/9, siêu bão Ragasa giảm cấp nhanh và hướng về đất liền nước ta, gây mưa lớn diện rộng ở miền Bắc, Thanh Hoá - Nghệ An.

Tin siêu bão số 9 Ragasa mới nhất và dự báo thời điểm đổ bộ Quảng Ninh-Hưng Yên

Tin siêu bão số 9 Ragasa mới nhất và dự báo thời điểm đổ bộ Quảng Ninh-Hưng Yên

Cơ quan khí tượng phát đi bản tin mới nhất dự báo cường độ, quỹ đạo siêu bão Ragasa sau gần một ngày "quần thảo" Biển Đông và nhận định thời điểm bão đổ bộ nước ta.

Cách theo dõi diễn biến siêu bão Ragasa

Cách theo dõi diễn biến siêu bão Ragasa

VNDMS, Windy và Zoom Earth mang đến dữ liệu khí tượng, ảnh vệ tinh, dự báo quỹ đạo giúp người dân theo sát diễn biến siêu bão Ragasa.

Siêu bão Ragasa diện tích lớn hơn cả tỉnh Quảng Đông, Trung Quốc căng thẳng

Siêu bão Ragasa diện tích lớn hơn cả tỉnh Quảng Đông, Trung Quốc căng thẳng

Bão Ragasa mang theo gió mạnh và mưa lớn đang tiến thẳng vào tỉnh Quảng Đông - Trung Quốc.

Clip kinh hoàng trong siêu bão Ragasa: Dòng bùn cuồn cuộn đổ ập khiến cả thị trấn chìm trong biển nước, người dân bám cột điện cầu cứu

Chỉ trong vài phút, bùn cuồn cuộn đổ về khiến xe cộ trôi nổi, người dân hoảng loạn ôm cột điện kêu cứu giữa dòng nước xiết.

Cảnh báo khẩn trước khi siêu bão Ragasa đổ bộ vào miền Bắc nước ta

Cảnh báo khẩn trước khi siêu bão Ragasa đổ bộ vào miền Bắc nước ta

Cơ quan khí tượng cảnh báo, do hoàn lưu của siêu bão Ragasa rất rộng, cần đề phòng giông, lốc, gió giật mạnh trước và trong khi bão đổ bộ.

Siêu bão Ragasa vừa rời đi, đã xuất hiện vùng áp thấp mới gần Philippines

Siêu bão Ragasa vừa rời đi, đã xuất hiện vùng áp thấp mới gần Philippines

Siêu bão Ragasa đã rời khỏi Khu vực trách nhiệm của Phiilippines (PAR) vào sáng 23-9.

Siêu bão Ragasa chưa qua, Biển Đông lại sắp đón bão số 10, hướng vào miền Trung

Siêu bão Ragasa chưa qua, Biển Đông lại sắp đón bão số 10, hướng vào miền Trung

Khoảng ngày 27/9, Biển Đông có thể đón bão số 10, nhiều khả năng cơn bão này sẽ hướng vào khu vực Trung Bộ.

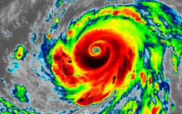
Mắt siêu bão Ragasa nhìn từ vũ trụ: Hình ảnh khiến cả thế giới lo lắng

Mắt siêu bão Ragasa nhìn từ vũ trụ: Hình ảnh khiến cả thế giới lo lắng

Siêu bão Ragasa, cơn bão mạnh nhất năm nay, đang di chuyển qua phía Bắc Philippines, hướng về phía Nam Trung Quốc, gây ra gió giật và sóng lớn.

Siêu bão khả năng suy yếu khi vào nước ta song nếu bão di chuyển lệch "tình hình sẽ khác hoàn toàn"

Siêu bão khả năng suy yếu khi vào nước ta song nếu bão di chuyển lệch "tình hình sẽ khác hoàn toàn"

Bão số 9 là cơn bão cường độ đặc biệt mạnh và đang duy trì cường độ siêu bão cấp 16-17.

Siêu bão Ragasa có dấu hiệu suy yếu, tâm mưa tập trung ở loạt tỉnh miền Bắc

Siêu bão Ragasa có dấu hiệu suy yếu, tâm mưa tập trung ở loạt tỉnh miền Bắc

Siêu bão Ragasa đang có dấu hiệu suy yếu, khi đổ bộ đất liền sẽ gây mưa lớn tại miền Bắc, tâm mưa ở Thái Nguyên, Nam Tuyên Quang, Lào Cai, Phú Thọ, đồng bằng Bắc Bộ.

Cận cảnh video bão Ragasa quần thảo Philippines, Trung Quốc: Siêu bão lớn nhất thế giới 2025 càn quét tàn khốc như thế này

Cận cảnh video bão Ragasa quần thảo Philippines, Trung Quốc: Siêu bão lớn nhất thế giới 2025 càn quét tàn khốc như thế này

Cơn bão mạnh nhất thế giới năm nay đã khiến 10.000 người phải sơ tán và hơn 1.000 chuyến bay bị gián đoạn.

Tin mới nhất về siêu bão sắp đổ bộ vào nước ta: Miền Bắc mưa rất to trong nhiều ngày liên tiếp

Tin mới nhất về siêu bão sắp đổ bộ vào nước ta: Miền Bắc mưa rất to trong nhiều ngày liên tiếp

Dự báo, từ đêm 24/9 đến ngày 26/9, ở khu vực Bắc Bộ, Thanh Hoá và Nghệ An có mưa to đến rất to.

Siêu bão Ragasa mạnh cấp 17 đi vào Biển Đông, giật trên cấp 17

Siêu bão Ragasa mạnh cấp 17 đi vào Biển Đông, giật trên cấp 17

Tối nay 22/9, siêu bão Ragasa đã đi vào vùng biển phía Đông Bắc của khu vực Bắc Biển Đông, trở thành cơn bão số 9 trong năm 2025.

Siêu bão dữ dội nhất hành tinh năm 2025 chắc chắn đổ bộ vào nước ta, khi nào bắt đầu mưa to gió lớn?

Đây là cơn bão có cường độ rất mạnh, di chuyển nhanh nên các hình thái thiên tai hoàn toàn có thể xảy ra dù bão có khả năng sẽ suy yếu dần.

Siêu bão dữ dội nhất hành tinh năm 2025 sắp đổ bộ vào nước ta: 9 tỉnh, thành đặc biệt chú ý

Siêu bão dữ dội nhất hành tinh năm 2025 sắp đổ bộ vào nước ta: 9 tỉnh, thành đặc biệt chú ý

Theo dự báo, các tỉnh, thành phố ven biển từ Quảng Ninh đến Quảng Ngãi sẽ chịu tác động mạnh nhất khi siêu bão đổ bộ.

Cảnh tượng kinh hoàng trước thời điểm siêu bão mạnh nhất thế giới năm 2025 Ragasa đổ bộ

Siêu bão Ragasa với sức gió quật 270 km/h đã trở thành cơn bão mạnh nhất thế giới năm 2025, khiến Philippines phải khẩn cấp đóng cửa trường học, cơ quan và sơ tán hàng triệu người trước giờ đổ bộ.

Ragasa đã trở thành siêu bão mạnh nhất thế giới năm nay: Sức mạnh cuồng phong khủng khiếp đến từ đâu?

Ragasa đã trở thành siêu bão mạnh nhất thế giới năm nay: Sức mạnh cuồng phong khủng khiếp đến từ đâu?

Hình ảnh vệ tinh cho thấy một mắt bão rõ ràng, nhỏ gọn với các dải bão đối xứng cao.

Siêu bão Ragasa mạnh bậc nhất Biển Đông: "Quái vật" khiến con người phải câm lặng - đặc điểm kinh hoàng

"Siêu bão Ragasa thuộc nhóm các siêu bão mạnh nhất từng ghi nhận trên Biển Đông".

Tương tác của không khí lạnh khiến diễn biến siêu bão Ragasa thêm phức tạp

Tương tác của không khí lạnh khiến diễn biến siêu bão Ragasa thêm phức tạp

Cơ quan khí tượng cho biết, tương tác của không khí lạnh với bão trong những ngày tới sẽ khiến quỹ đạo cũng như cường độ của bão Ragasa thêm phức tạp.

Siêu bão dữ dội nhất hành tinh năm 2025 sẽ đổ bộ vào đất liền nước ta vào ngày nào?

Dự báo, sáng 25/9, bão có khả năng tiến vào Vịnh Bắc Bộ với cường độ cấp 12–14, giật cấp 15–16 và dự báo ảnh hưởng trực tiếp đất liền nước ta từ Quảng Ninh đến Hà Tĩnh.

Siêu bão Ragasa tiếp tục mạnh lên, sức gió lên 215 km/giờ

Siêu bão Ragasa tiếp tục mạnh lên, sức gió lên 215 km/giờ

Siêu bão Ragasa mạnh lên khi hướng tới vùng cực Bắc Luzon – Philippines, buộc người dân phải sơ tán.

Siêu bão Ragasa tăng cấp thần tốc, nhiều quốc gia, khu vực phát lệnh đóng cửa trường học, sơ tán khẩn cấp

Sáng nay (22/9), Philippines và Đài Loan (Trung Quốc) đồng loạt triển khai các biện pháp ứng phó khẩn cấp khi siêu bão Ragasa tiếp tục mạnh lên, mang theo gió giật dữ dội và mưa lớn.

Cảnh báo nguy cơ mưa dông gió lốc trước khi siêu bão số 9 Ragasa đổ bộ: Các tỉnh nào sẽ chịu ảnh hưởng mạnh nhất?

Cảnh báo nguy cơ mưa dông gió lốc trước khi siêu bão số 9 Ragasa đổ bộ: Các tỉnh nào sẽ chịu ảnh hưởng mạnh nhất?

Siêu bão Ragasa đang tiến nhanh về Biển Đông, gây gió mạnh, sóng cao và mưa lớn trên nhiều khu vực, cảnh báo nguy cơ lũ quét, sạt lở đất và tác động nghiêm trọng đến tàu thuyền ven biển. Cơ quan khí tượng cảnh báo cần đặc biệt đề phòng hiện tượng dông, lốc dù siêu bão còn cách đất liền 300-400km.

Siêu bão Ragasa cường độ cực đại tương đương Yagi, sẽ đổ bộ đất liền nước ta

Siêu bão Ragasa cường độ cực đại tương đương Yagi, sẽ đổ bộ đất liền nước ta

Bão Ragasa mạnh lên cấp siêu bão, dự báo tối mai 22/9 đi vào Biển Đông và sẽ đổ bộ đất liền nước ta trong ngày 25/9, trọng tâm ở Quảng Ninh-Hà Tĩnh.

Ragasa mạnh lên thành siêu bão, hai kịch bản tác động đến nước ta

Ragasa mạnh lên thành siêu bão, hai kịch bản tác động đến nước ta

Chiều nay (21/9), bão Ragasa đã mạnh lên cấp 16, giật trên cấp 17, trở thành siêu bão đầu tiên sẽ vào Biển Đông trong năm nay. Trung tâm Dự báo Khí tượng Thuỷ văn Quốc gia nhận định, bão có thể đổ bộ vào đất liền nước ta theo hai kịch bản với sự khác biệt rất lớn về cường độ.

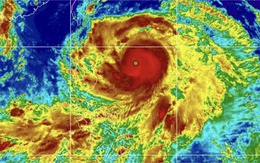
Cận cảnh mắt của siêu bão Ragasa,  Philippines cảnh báo khẩn cấp

Cận cảnh mắt của siêu bão Ragasa, Philippines cảnh báo khẩn cấp

Bão Ragasa đã mạnh lên thành siêu bão hôm 21-9, với sức gió mạnh nhất duy trì 185 km/giờ và giật lên tới 230 km/giờ.

Bão Ragasa tăng lên cấp siêu bão, gió giật tới 230km/h: 7 đài quốc tế dự báo sẽ đổ bộ vào Việt Nam

Bão Ragasa tăng lên cấp siêu bão, gió giật tới 230km/h: 7 đài quốc tế dự báo sẽ đổ bộ vào Việt Nam

Nhiều đài khí tượng quốc tế đều có chung nhận định, bão Ragasa sẽ đổ bộ vào đất liền Việt Nam trong ngày 26/9.