*Vui lòng nhập đủ thông tin email hoặc số điện thoại
Ragasa
Cuộn băng dính bỗng "cháy hàng", đua độ hot với cà chua, khoai tây trước bão Ragasa: Lý do mới sốc
Đời sống 2025-09-25T09:10:00Hình ảnh này đang nhận được nhiều sự quan tâm. Chuyện gì đây?
Thủy điện lớn nhất Bắc Trung Bộ xả lũ ứng phó bão Ragasa
Thời sự - Xã hội 2025-09-24T23:47:00Trước dự báo bão Ragasa sẽ gây mưa rất lớn, Công ty Thủy điện Bản Vẽ (Nghệ An) chủ động vận hành xả lũ từ 8h sáng nay.
Diễn biến mưa bão ở miền Bắc
Thời sự - Xã hội 2025-09-24T20:40:00Từ đêm 24/9, bão Ragasa gây mưa cho Quảng Ninh, Lạng Sơn, Hải Phòng. Từ khoảng trưa 25/9, mưa tăng dần và mở rộng phạm vi ra khu vực đồng bằng Bắc Bộ và Tây Bắc Bộ, gồm thủ đô Hà Nội, kéo dài đến khoảng 26/9.
Đây là sức tàn phá của Ragasa - siêu bão mạnh nhất 2025: Loạt video, hình ảnh kinh hoàng khắp nơi
Đời sống 2025-09-24T16:02:00Mưa to, gió lớn càn quét như "tận thế" tại Hong Kong (Trung Quốc).
Siêu bão Ragasa trút mưa xối xả xuống Trung Quốc, đã ghi nhận thương vong
SÁNG KIẾN ESG 2025-09-24T14:43:00Siêu bão Ragasa, cơn bão nhiệt đới mạnh nhất thế giới năm nay, đã gây ảnh hưởng nặng nề cho Trung Quốc với gió lớn và mưa xối xả. Ở Đài Loan (Trung Quốc), ít nhất 14 người đã thiệt mạng.
Siêu bão Ragasa tàn phá Đài Loan (Trung Quốc): 14 người thiệt mạng, 124 người mất tích
Đời sống 2025-09-24T14:33:00Cơ quan cứu hỏa, cứu hộ cứu nạn Đài Loan (Trung Quốc) ngày 24/9 cho biết, đã có ít nhất 14 người thiệt mạng và 124 người mất tích tại huyện Hoa Liên.
Xót xa cụ bà 87 tuổi bị bùn lũ do siêu bão Ragasa vùi lấp ngay trong nhà, con gái đau đớn: "Thi thể mẹ tôi vẫn còn mắc kẹt bên trong"
Ngày 24/9, huyện Quang Phục (Hoa Liên, Đài Loan, Trung Quốc) ghi nhận thiệt hại nặng nề sau khi hồ chắn bùn ở thượng nguồn sông bất ngờ tràn bờ, gây lũ lớn đổ vào khu vực dân cư.
Xem kích thước khổng lồ của bão Ragasa được quay từ không gian
Đời sống 2025-09-24T08:16:00Kích thước khổng lồ của cơn bão Ragasa đã được phi hành gia người Nhật, Kimiya Yui, ghi lại từ không gian trên Trạm vũ trụ quốc tế hôm 22/9.
Bão Ragasa càn quét Biển Đông: 3 người chết, nhân chứng mô tả 'như ngày tận thế'
Đời sống 2025-09-24T06:17:00Hàng nghìn người tìm nơi trú ẩn ở Phlippines và Trung Quốc khi bão Ragasa đổ bộ, gây mưa lớn và nguy cơ sạt lở đất.
Bão Ragasa đạt sức gió hủy diệt, nhiều nơi chuẩn bị đối mặt kịch bản xấu nhất
Đời sống 2025-09-23T14:06:00Siêu bão Ragasa đổ bộ bắc Philippines, sức gió 267 km/h khiến hơn 10.000 người sơ tán. Nhiều nơi ở Trung Quốc đang cảnh giác cao độ.
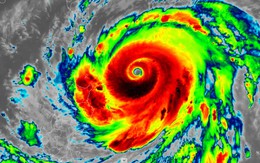
Ragasa đã trở thành siêu bão mạnh nhất thế giới năm nay: Sức mạnh cuồng phong khủng khiếp đến từ đâu?
Đời sống 2025-09-22T13:00:00Hình ảnh vệ tinh cho thấy một mắt bão rõ ràng, nhỏ gọn với các dải bão đối xứng cao.
Siêu bão Ragasa tiếp tục mạnh lên, sức gió lên 215 km/giờ
SÁNG KIẾN ESG 2025-09-22T10:14:00Siêu bão Ragasa mạnh lên khi hướng tới vùng cực Bắc Luzon – Philippines, buộc người dân phải sơ tán.
Tâm điểm

