Ảnh: Hongbin
Sức hút của hòn đảo này không chỉ vì hiệu ứng từ những bộ phim nổi tiếng mà còn vì giá trị chữa lành từ đất, trời, từ thành quả kiến tạo bền bỉ qua hàng triệu năm trên nền núi lửa.
Theo CNN, năm 2024, hơn 13 triệu người đã bị thu hút đến hòn đảo nổi tiếng với làn nước trong xanh lấp lánh, những cánh đồng trà xanh mướt và ngọn núi lửa Hallasan phủ đầy tuyết trắng. Trên thực tế, theo báo cáo thống kê vận tải hàng không thế giới năm 2024 của Hiệp hội Vận tải hàng không Quốc tế (IATA), tuyến bay từ Seoul đến Jeju hiện là tuyến bay nhộn nhịp nhất thế giới, với hơn 13 triệu hành khách. Theo Hiệp hội Du lịch Jeju, kể từ khi đại dịch COVID-19 kết thúc, tổng số khách du lịch nước ngoài đến thăm đảo Jeju hằng năm đã tăng gần gấp 4 lần, lên 1,9 triệu khách vào năm 2024. Để ứng phó với sự tăng trưởng mạnh mẽ đó và những vấn đề bất cập đi kèm khi có quá đông khách du lịch, các quan chức trên "hòn đảo kỳ diệu" của Hàn Quốc mới đây đã in 8.000 bản hướng dẫn, trong đó nêu rõ những hành vi vi phạm mà khách du lịch có thể bị phạt.

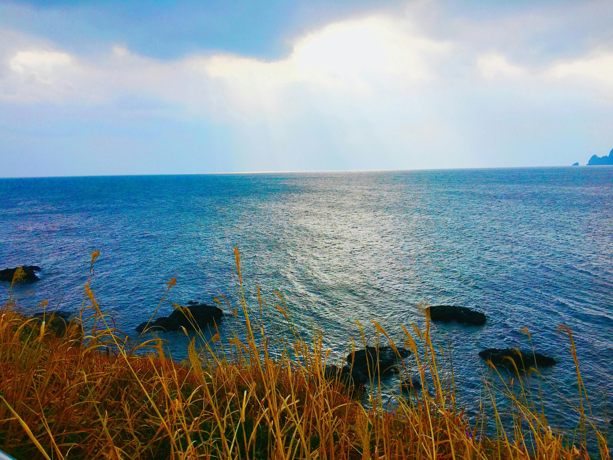
Đảo Jeju nổi tiếng với làn nước trong xanh lấp lánh (Ảnh: Pexels)
Đảo Jeju là một trong số ít điểm đến trong khu vực đang phải đối mặt với những thách thức về sự quá tải sau đại dịch. Những biện pháp được đưa ra không nằm ngoài mục đích giúp cho "đảo thiên đường" giữ được sự thanh bình, yên lành vốn có để mọi người có thể tận hưởng những giá trị tuyệt vời nhất từ thiên nhiên mang lại.
Hòn đảo này trở nên rất nổi tiếng ở phạm vi toàn cầu khi là bối cảnh của hàng loạt bộ phim điện ảnh, truyền hình nổi tiếng, khiến Jeju trở thành điểm đến cho giấc mơ hạnh phúc của các cặp đôi, nơi các thần tượng Kpop lựa chọn để chia sẻ cùng công chúng… Hậu đại dịch COVID-19, xu hướng tự thưởng cho bản thân để chăm sóc sức khỏe tinh thần, để xua tan đi những lo âu, bộn bề trong cuộc sống tiếp tục được nhiều người hưởng ứng. Và tìm đến các địa điểm du lịch được ví như "thiên đường" để chữa lành là sự lựa chọn phổ biến.

Khung cảnh yên bình của đảo Jeju (Ảnh: Sangmin Jeong)

Hơn 13 triệu du khách đã đến hòn đảo xinh đẹp này trong năm 2024 (Ảnh: Getty Images)
Những năm gần đây, xu hướng du lịch chăm sóc sức khỏe cũng đang được Hàn Quốc đẩy mạnh quảng bá. Nhằm khuyến khích du khách khám phá và trải nghiệm nhiều hơn nữa phong cách chăm sóc sức khỏe của Hàn Quốc, Tổng cục Du lịch Hàn Quốc đã khởi động chiến dịch "K-Wellness". Năm 2024, sáng kiến này đã công bố danh sách 77 điểm đến được lựa chọn cho du lịch chăm sóc sức khỏe.

Ảnh: Unsplash
Đảo Jeju là một trong số ít những địa điểm trên toàn thế giới được UNESCO vinh danh bằng 3 danh hiệu lớn: Di sản Thiên nhiên thế giới, Khu Dự trữ sinh quyển và Công viên Địa chất toàn cầu. Không chỉ thu hút du khách bằng danh lam thắng cảnh, Jeju còn được đánh giá cao nhờ môi trường trong lành. Theo The Korea Herald, năm 2024, Jeju là địa phương có nồng độ bụi mịn PM2.5 thấp nhất Hàn Quốc, trung bình chỉ 12,3 µg/m³ - thấp hơn nhiều so với mức tại Thủ đô Seoul và các đô thị lớn. Chất lượng không khí này đặc biệt quan trọng với du khách tham gia hoạt động ngoài trời và các liệu trình chăm sóc sức khỏe.
Jeju còn hấp dẫn những người quan tâm đến sức khỏe thông qua sự tồn tại của cộng đồng Haenyeo - các nữ thợ lặn cao tuổi. Họ có thể không cần sử dụng bình dưỡng khí khi khai thác hải sản quanh đảo Jeju, dù phải lặn rất sâu, nhiều lần trong ngày. Họ được xem là biểu tượng văn hóa độc đáo của Hàn Quốc và nghề lặn biển của họ đã được UNESCO vinh danh là Di sản Văn hóa phi vật thể.

Các nữ thợ lặn ở Jeju (ảnh: Unsplash)
Đảo Jeju cũng là một trong những nơi có tỷ lệ tử vong do đột quỵ thấp nhất Hàn Quốc. Một nghiên cứu được công bố trên Tạp chí Cell Reports, hé lộ phần nào cội nguồn "siêu năng lực" của các Haenyeo. Đó là sự kết hợp giữa những thay đổi về sinh lý và di truyền và cả quá trình rèn luyện bền bỉ vượt qua giới hạn thể chất. "Chẳng phải sẽ thật tuyệt vời nếu bằng cách nghiên cứu nữ thợ lặn ở Hàn Quốc, chúng ta có thể ứng dụng những phát hiện này để phát triển một liệu pháp bảo vệ mọi người khỏi đột quỵ trên toàn thế giới sao? Bằng cách nghiên cứu những nhóm dân số này, chúng ta có thể đưa đến những khám phá có ý nghĩa thực sự quan trọng đối với mọi người trên khắp thế giới" - Melissa Ilardo, một nhà di truyền học tiến hóa tại Đại học Utah (Mỹ) cho biết. Những nghiên cứu sâu hơn về các nữ thợ lặn Haenyeo đồng thời là cách để tôn vinh những giá trị văn hóa bản địa đặc sắc, tôn vinh sự phi thường về sức khỏe, thể chất của phái nữ để khuyến khích việc bảo tồn, duy trì một công việc hết sức độc đáo.
