Cuồng phong là gì? Mức độ nguy hiểm như thế nào?

Thanh Huyền |

Đây là cấp độ cao trong các loại bão, vượt xa bão và áp thấp nhiệt đới thông thường.

Cuồng phong là một thuật ngữ dùng để chỉ những cơn bão nhiệt đới có cường độ mạnh nhất. Mặc dù không phải là một thuật ngữ chính thức trong thang đo của Tổ chức Khí tượng Thế giới (WMO), nhưng "cuồng phong" thường được các cơ quan khí tượng khu vực sử dụng để phân loại những cơn bão có sức gió cực mạnh. Đây là cấp độ cao trong các loại bão, vượt xa bão và áp thấp nhiệt đới thông thường.

Bão cuồng phong (tên tiếng Anh là Hurricane ở Đại Tây Dương và Đông Bắc Thái Bình Dương, hoặc Typhoon ở Tây Bắc Thái Bình Dương) là một trong những hiện tượng thời tiết cực đoan và có sức tàn phá mạnh mẽ nhất trên Trái đất. Đây là một hệ thống bão xoáy khổng lồ được hình thành trên các vùng biển nhiệt đới.

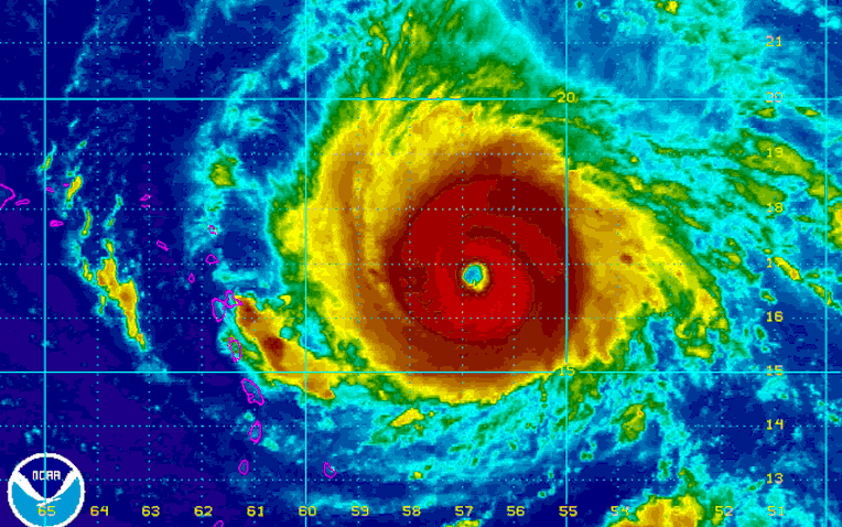
Cuồng phong là gì? Mức độ nguy hiểm như thế nào? - Ảnh 1.

Ảnh vệ tinh cơn bão cuồng phong Irma năm 2017

Bão cuồng phong được hình thành như thế nào?

Bão cuồng phong chỉ có thể hình thành khi có đủ các điều kiện. Đầu tiên là n hiệt độ nước biển phải có nhiệt độ trên 26,5°C (khoảng 80°F) để cung cấp đủ năng lượng ẩm và nhiệt cho bão phát triển. Không khí ở mực nước biển phải có độ ẩm cao. Sức gió thay đổi ít theo độ cao, điều này giúp cấu trúc thẳng đứng của bão được duy trì và phát triển.

Khi các điều kiện trên được đáp ứng, không khí ẩm và ấm từ mặt biển bốc lên, tạo thành một vùng áp suất thấp. Không khí lạnh hơn từ trên cao và xung quanh di chuyển vào, tiếp tục bị làm nóng và bốc lên, tạo thành một vòng lặp. Vòng lặp này, kết hợp với hiệu ứng Coriolis do Trái đất tự quay, tạo ra một cơn lốc xoáy khổng lồ. Khi sức gió duy trì tối thiểu đạt 119 km/h (74 dặm/giờ) , nó chính thức được xếp loại là bão cuồng phong.

Phân loại và mức độ nguy hiểm

Để đánh giá mức độ nguy hiểm, các nhà khoa học sử dụng thang đo bão Saffir-Simpson , chia bão cuồng phong thành 5 cấp độ dựa trên tốc độ gió:

  • Cấp 1: Sức gió từ 119 - 153 km/h . Có thể gây ra thiệt hại nhỏ cho cây cối, nhà cửa.
  • Cấp 2: Sức gió từ 154 - 177 km/h . Có thể làm gãy đổ cây to, phá hủy một phần mái nhà.
  • Cấp 3 (Bão lớn): Sức gió từ 178 - 209 km/h . Gây ra thiệt hại đáng kể cho nhà cửa kiên cố, làm mất điện trên diện rộng.
  • Cấp 4 (Bão lớn): Sức gió từ 210 - 249 km/h . Phá hủy nghiêm trọng kết cấu nhà cửa, gây ra thiệt hại lớn.
  • Cấp 5 (Bão lớn): Sức gió từ 250 km/h trở lên. Sức tàn phá kinh hoàng, có thể san phẳng nhà cửa, làm cho khu vực bị ảnh hưởng không thể ở được trong một thời gian dài.

Cuồng phong nguy hiểm như thế nào?

Với sức gió mạnh thường được xác định từ 119 km/h trở lên, cuồng phong có thể làm đổ cây cối, cột điện và gây hư hại đáng kể cho các công trình. Càng mạnh, sức gió càng nguy hiểm, với các cấp độ từ 3 đến 5 có thể san phẳng nhà cửa kiên cố. Ngoài gió, lượng mưa lớn trong thời gian ngắn do cuồng phong gây ra thường dẫn đến lũ lụt và sạt lở đất nghiêm trọng.

Cuồng phong là gì? Mức độ nguy hiểm như thế nào? - Ảnh 2.

Đặc biệt, mối đe dọa lớn nhất từ cuồng phong chính là nước dâng do bão (storm surge). Sức gió mạnh của bão đẩy nước biển dâng cao đột ngột, có thể cao hơn vài mét so với thủy triều bình thường, gây ngập lụt ven biển trên diện rộng, phá hủy nhà cửa và cơ sở hạ tầng. Do sức tàn phá tổng hợp từ gió, mưa và nước dâng, cuồng phong gây thiệt hại nặng nề về kinh tế và để lại hậu quả lâu dài cho đời sống của người dân.

Tags

Đường dây nóng: 0943 113 999

Soha
Báo lỗi cho Soha

*Vui lòng nhập đủ thông tin email hoặc số điện thoại