*Vui lòng nhập đủ thông tin email hoặc số điện thoại
bão số 9 Ragasa
Ảnh hưởng bão số 9, Hà Nội mưa từ sáng sớm, giao thông ùn tắc
Thời sự - Xã hội 2025-09-25T10:34:00Ảnh hưởng của siêu bão số 9 Ragasa khiến Hà Nội mưa từ sáng 25/9, nhiều tuyến đường ùn tắc, người dân đi lại khó khăn.
Hà Nội có chịu tác động từ bão số 9 Ragasa?
Thời sự - Xã hội 2025-09-24T18:40:00Bão số 9 Ragasa đã giảm 4 cấp sau khi vào Biển Đông, dự báo sẽ đổ bộ đất liền nước ta trong chiều mai, Hà Nội cũng chịu ảnh hưởng đáng kể từ cơn bão này.
Bão số 9 Ragasa giật trên cấp 17 tiến gần đất liền: Hà Nội sẽ mưa to gió lớn ở đâu, cấp độ thế nào?
Thời sự - Xã hội 2025-09-23T22:30:00Dự báo bão số 9 Ragasa sẽ ảnh hưởng tới Hà Nội.
Cảnh báo nguy cơ mưa dông gió lốc trước khi siêu bão số 9 Ragasa đổ bộ: Các tỉnh nào sẽ chịu ảnh hưởng mạnh nhất?
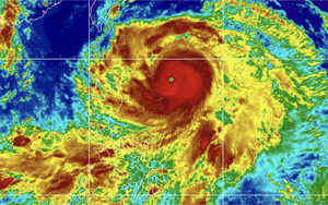
Thời sự - Xã hội 2025-09-22T07:40:00Siêu bão Ragasa đang tiến nhanh về Biển Đông, gây gió mạnh, sóng cao và mưa lớn trên nhiều khu vực, cảnh báo nguy cơ lũ quét, sạt lở đất và tác động nghiêm trọng đến tàu thuyền ven biển. Cơ quan khí tượng cảnh báo cần đặc biệt đề phòng hiện tượng dông, lốc dù siêu bão còn cách đất liền 300-400km.
Tâm điểm

