image

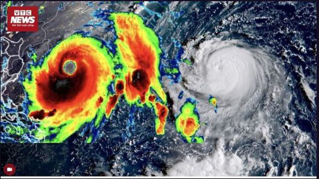
Bão số 11 Matmo tăng cấp nhanh, cách đặc khu Hoàng Sa hơn 500km

Xã hội 04/10/2025
Hồng Thắm/VTC NEWS - 
Tags
Theo Trung tâm Dự báo khí tượng thủy văn quốc gia, đến 7h sáng 4/10, vị trí tâm bão số 11 Matmo cách đặc khu Hoàng Sa khoảng 510km, đang tăng cấp nhanh.