*Vui lòng nhập đủ thông tin email hoặc số điện thoại
bão ở châu á
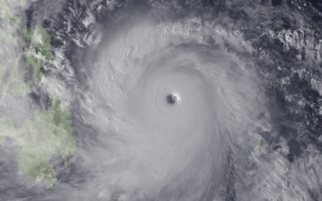
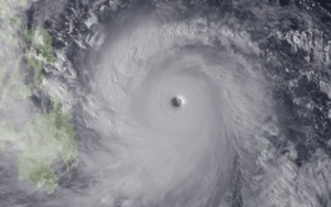
Nghiên cứu mới cho thấy bão ở Châu Á đang ngày càng trở nên đáng sợ
Tri thức mới 2016-09-13T07:06:00Các nhà khoa học cảnh báo rằng sự nóng lên của toàn cầu sẽ dẫn tới những con bão khủng khiếp hơn trong tương lai. Và Châu Á là khu vực chịu ảnh hưởng nặng nề của sự biến đổi này.
Tâm điểm

